quarta-feira, 1 de fevereiro de 2017

VITAMINAS MURICIZAO

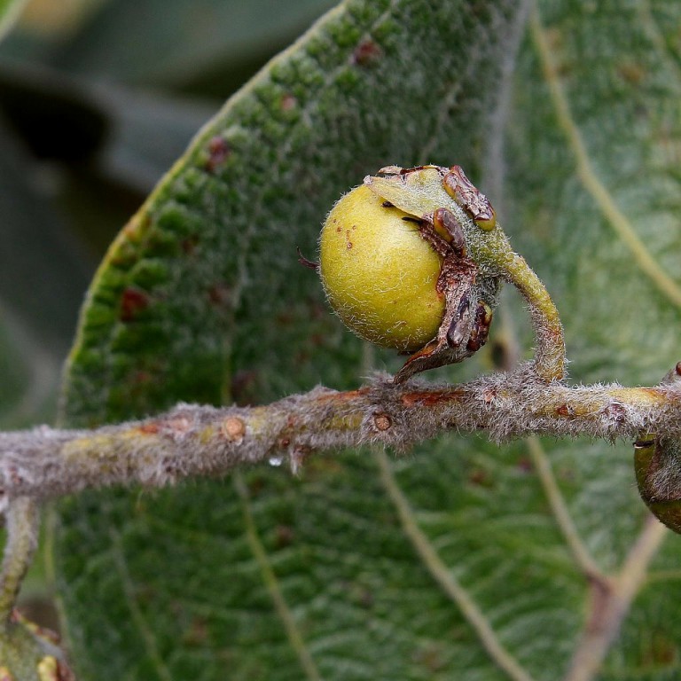
Os Benefícios do Muricizão Para Saúde são variados, pois, o Muricizão possui uma grande quantidade de nutrientes essenciais para saúde geral do corpo. Além disso, o Muricizão nasce em uma árvore com uma copa com ramos terminais de crescimento modular. Troncos com diâmetros de até 17 cm, com fissuras descontínuas e sinuosas, que formam placas irregulares.
Muricizão tem um tamanho médio de 2 cm de diâmetro; carnosos; globosos; amarelos na maturação.  Alem disso o Muricizão conta com uma sementes de até 0,5 cm de diâmetro; até três por fruto. O Muricizão ocorre no cerrado sentido restrito e nos campos no DF e nos estados de Alagoas, Amazonas, Bahia, Goiás, Maranhão, Minas Gerais, Mato Grosso do Sul, Mato Grosso, Pará, Paraná, São Paulo e Tocantins.
muricizao-2Valores Nutricionais do Muricizão: Em cerda de 100 gramas de Muricizão você conseguirá absorver essas quantidades de nutrientes:
  • 33g de cálcio
  • 17mg de fósforo
  • 2mg de ferro
  • 0,2mg de vitamina B1
  • 0,4mg de vitamina B2
  • 0,40 de niacina
  • 7mcg de retinol
  • 85mg de vitamina C
  • 0,90g de proteína
  • 14,40g de carboidratos
  • 2,20g de fibras
As frutas são uma parte importante de uma dieta saudável. Eles são ricos em nutrientes vitais que são necessários para nosso corpo se manter saudável. Enquanto frutas como mangas, laranjas, bananas, abacaxis , melancias, uvas, maçã, etc, são comumente consumidos por todos nós, existem algumas frutas, que a maioria de nós não têm conhecimento.
Muricizão, por exemplo, é uma daquelas frutas raras, que são carregadas com os nutrientes e podem fornecê-lo com diversos benefícios de saúde. Então confira agora Os 10 Benefícios do Muricizão Para Saúde:
Benefícios do Muricizão Para Cria Energia: Como o fósforo ajuda a criar energia que é usada pelo corpo todos os dias, então, usar o Muricizão pode lhe trazer um aumento dessa energia. O Muricizão ajuda no fluxo de energia e garante que é eficientemente usado pelos diferentes órgãos. O Muricizão ajuda a quebrar os nutrientes, liberando a energia nos alimentos que se come. Além disso o Muricizão impede que você se sinta cansado ou fadigado.
Uma quantidade adequada de fósforo no corpo ajuda a manter um alerta e enérgico. o Muricizão ajuda a tratar pequenos problemas como fraqueza muscular, dormência, fraqueza sexual, impotência, perda da libido, frigidez, motilidade do esperma, etc. O fósforo atua como participante de todas as reações químicas que ocorrem no corpo.
Benefícios do Muricizão Para o Tratamento do Câncer: Estudos realizados descobriram que um alto consumo de frutas e legumes ajudam a diminuir os riscos de vários tipos de câncer. Os estudos mostraram também que o aumento do consumo de vitamina C, que alias esta presente no Muricizão em grande quantidade, está ligado a uma diminuição da possibilidade de ocorrer cânceres de pulmões, boca, cordas vocais, garganta, do cólon, do reto, do estômago e do esófago.
Benefícios do Muricizão Para os Ossos e Dentes: O Muricizão é rico em fósforo que é necessário para a saúde os ossos e dentes, por isso deve-se ter certeza de que você está recebendo fósforo suficiente. Não é apenas cálcio que é exigido pelos ossos, o fósforo é igualmente importante. Ele ajuda a manter os ossos e dentes fortes e saudáveis. O mineral é mais necessário nos estágios da puberdade para o hormônio do crescimento.
As mulheres também exigem isso crucialmente durante a gravidez e nos estágios da menopausa. O fósforo presente no Muricizão ajuda a promover a remineralização dos dentes e dos ossos. Uma quantidade adequada de cálcio e fósforo é necessária para prevenir a osteoporose no entanto, o crescimento ósseo pode ser dificultado se a proporção de cálcio para fósforo for muito alta.
 
Benefícios do Murici do Cerrado Para Saúde Muscular: Murici do Cerrado contem proteínas que desempenham um papel importante na contração muscular e coordenação. As proteínas estão presentes nos tecidos musculares sob a forma de diversos microfilamentos e fornece a estrutura muscular. O crescimento dos músculos depende da adequação de proteínas no corpo, então caso você queira ter belos músculos use o Murici do Cerrado como fonte de proteína. É extremamente importante criar um equilíbrio entre a taxa de síntese de proteína muscular e a repartição destas proteínas musculares.
Benefícios do Muricizão Para Diminuir o Colesterol: O Muricizão contem fibras que formam uma espécie de gel que captura parte da gordura dos alimentos e altera a absorção do mau colesterol (LDL). Além disso, a fermentação das fibras no intestino produz componentes como ácidos graxos de cadeia curta (AGCC), que reduzem a síntese de colesterol no fígado. Já as fibras insolúveis, que também são encontrados no Muricizão, se ligam as sais biliares e também contribuem para a redução da absorção de parte de gorduras e do colesterol.
Benefícios do Muricizão Para Síndrome da Perna Inquieta: A deficiência de ferro é uma das causas da síndrome das pernas inquietas, e o Muricizão é usado como uma forma de tratar esse mal. A maioria das pesquisas sobre essa síndrome tem se concentrado em ferro. Os baixos níveis de ferro no sangue são a principal causa da condição, de modo que a ingestão adequada de alimentos ricos em ferro, como é o caso do Muricizão, pode curar este problema. Isso está ligado a espasmos musculares, o que pode ser um dos sintomas de deficiência de ferro.
muricizaoBenefícios do Muricizão Para o Controle da Diabetes: As fibras contidas no Muricizão, retardam a velocidade da digestão de carboidratos, tornando a absorção da glicose mais lenta pelo sangue e, com isso, reduz os picos de insulina. Ao entrar em contato com a água, as fibras também formam uma proteção em torno da comida e dificultam a absorção do açúcar, fazendo do Muricizão um bom aliado para quem é portador dessa doença.
Benefícios do Muricizão Para Anemia Nas Mulheres: ferro também podem apresentar os seus benefícios para a saúde na cura de doenças como a anemia, que ocorre em mulheres durante a gravidez ou a menstruação, por exemplo. Os novos glóbulos vermelhos devem substituir os que foram perdidos, por isso, o consumo de quantidades significativas de ferro é necessário para aquelas mulheres nesses mesmos pontos na vida delas, então, o Muricizão pode ser usado para regularizar essa situação.
Benefícios do Muricizão Para o Sangue: A formação de hemoglobina é a principal função do ferro, que ricamente encontrado no Muricizão. Não só isso, uma vez que o ferro é uma parte da hemoglobina, que dá o tom escuro de vermelho para o sangue e também auxilia no transporte de oxigênio para as células do corpo, sendo assim, o consumo do Muricizão pode melhor a ação do sangue no organismo. A hemoglobina adicional é de vital importância porque os seres humanos tendem a perder sangue de várias maneiras, através de lesões, tanto internos como externos.
Benefícios do Muricizão Para a Saúde de Cérebro: O fósforo contido no Muricizão é altamente necessário para manter as funções mentais adequadas. Funções como a concentração, memória e o próprio funcionamento mental podem ser melhorados com o consumo deste mineral. O nível adequado de fósforo garante o crescimento e desenvolvimento cognitivo, fazendo assim com que o Muricizão seja um ótimo alimento para tratar esses transtornos. A deficiência de fósforo pode levar a um início precoce de doenças neurológicas como demência e Alzheimer.

Nenhum comentário:

Postar um comentário